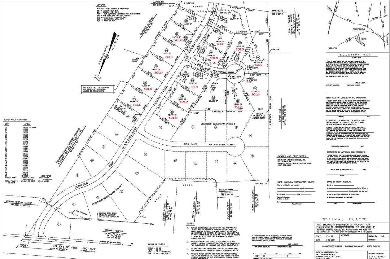
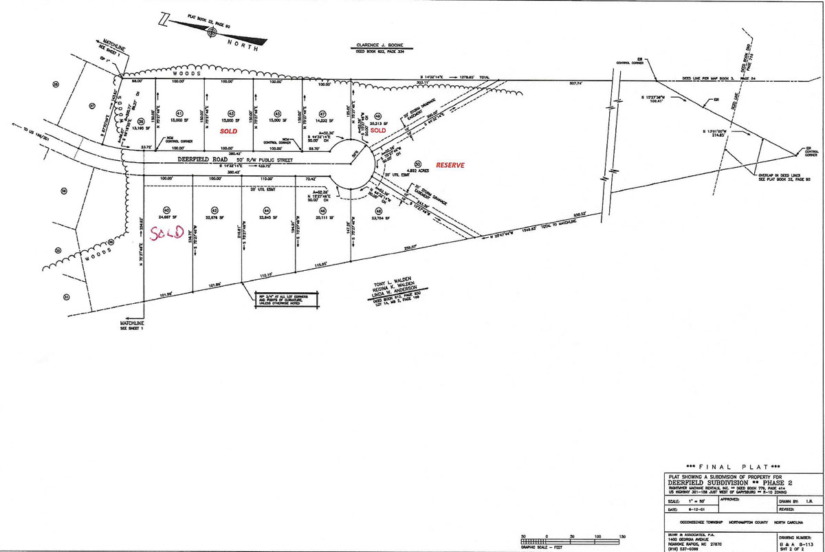
Maps of Phases for Deerfield Subdivision (Garysburg, North Carolina)
The following are maps of the Deerfield Subdivision for Phases 1 and 2 (as of June 28, 2023). To view a larger version of the map, you may click on the desired map or download the associated PDF.
Phase 1 Map
Phase 2 Map (page 1)
Phase 2 Map (page 2)
Northampton GIS Map Site
- Access the Northampton GIS Map site.
- Move cursor to the southwest of Garysburg, NC.
- Double-click or use scroll to zoom in on the Deerfield Subdivision.
- You can also search using:
- Address: Deerfield Rd or Doe Lane.
- Tax Parcel ID (found on the price list page – remove dash when searching)
Downloadable PDFs
Deerfield Subdivision Phase 1 Map (PDF) May 2025
Deerfield Subdivision Phase 2 (page 1) Map (PDF) December 2023
Deerfield Subdivision Phase 2 (page 2) Map (PDF) May 2025


